Aller au contenu

Messages recommandés

Posté

Bonjour à tous ! :) 

 

De retour de vacances, la rentrée, les soucis... très peu de temps malheureusement pour l'astro et quand je pense que j'ai 90h d'acquisition de cet été à traiter, je me dis que le temps de traiter tout ça, je vais peut-être avoir l'occasion de remettre du temps de pose sur certaines cibles l'été prochain avant  ! ;) 

 

Pas très actif non plus sur le forum ces derniers temps, toutes mes excuses... j'ai vu passer beaucoup de belles images mais pas encore eu le temps de laisser un petit mot sur chacune... et le fil défile rapidement ! 

 

J'ai quand même pris le temps de traiter une image en particulier, en raison de l'actualité du sujet... la comète 21P Giacobini-Zinner.

Sinon, l'image serait sortie en décembre... c'est comme publier une photo de M42 en plein mois de juillet, c'est pas vraiment de saison ! :) 

 

Donc voici cette comète pour le coup assez belle, découverte en 1900 et qui revient nous rendre visite tous les 6 ans, photographiée le 21 août 2018 avec une caméra CCD monochrome en LRGB.

 

114601-1536140527.jpg

 

La full ici : get.jpg?insecure

(oui je sais, j'ai recadré et croppé pour l'image du forum ; je n'arrive pas à me décider sur ce qui est le plus esthétique... :) ).

 

Evidemment, le LRGB n'est pas le mode d'acquisition le plus simple pour le traitement sur ce genre de cible...

C'est même (et de loin), le traitement le plus compliqué que j'ai eu à faire jusqu'ici ; la comète se déplaçait très rapidement (bougé bien visible en 120s avec 600mm de focale à 1,5" d'échantillonnage) ce qui a rendu très difficile l'empilage des images.

 

TSA102 f/6 - AZEQ6 - CCD Atik One6 (-10)° - guidage DO + Atik GP - Filtres LRGB Astronomik

 

2 séries de 10 poses par filtres LRGB en 60s, en bin1 pour la Luminance et bin 2 pour la couleur.
1 série de 10 poses de 120s bin 1 en L.
1 série de 10 poses de 300s bin 2 en L.

 

Empilage pour chaque série de 2 images, l'une sur les étoiles, l'autre sur la comète (avec Pixinsight).

Assemblage final sous Photoshop.

Mosaïque de 2 images pour le champ d'étoiles (parce que bon c'était déjà pas assez compliqué comme ça... :) ).

 

La position de la comète sur l'image correspond au 21 août 2018 à 4h08 (heure de l'image de référence pour l'empilage des images).

 

J'espère que ce souvenir de cette belle visiteuse vous plaira ! :)

 

Pour ma part, je suis content de m'en être sorti, et j'en tire de précieuses leçons pour la prochaine comète pour optimiser l'acquisition afin de simplifier le traitement ensuite ! Si j'ai le temps (snif...) je ferai un petit tuto sur le sujet si ça vous intéresse !

 

Bon ciel !

 

jb

  • J'aime 3
  • Merci / Quelle qualité! 5
Posté

Superbe comète! Et quelle bonne idée tu as eu de stacker séparément étoiles et comète : esthétiquement, c'est très réussi. Bravo!

Nathanaël

Posté

Superbe, la plus belle sur le forum de loin jusqu'à maintenant (sauf si j'en ai loupé d'autres :p )

 

Citation

Si j'ai le temps (snif...) je ferai un petit tuto sur le sujet si ça vous intéresse !

Franchement j'aimerais beaucoup (même un petit truc rapide !), avec Pix je n'ai jamais vraiment réussi ce genre d'empilement, j'ai du louper quelque chose,  à chaque fois c'est... très moche.

Posté

Merci à tous pour vos retours ! :) 

 

Il y a 4 heures, PlanetTracker a dit :

Franchement j'aimerais beaucoup (même un petit truc rapide !), avec Pix je n'ai jamais vraiment réussi ce genre d'empilement, j'ai du louper quelque chose,  à chaque fois c'est... très moche.

 

Au départ j'étais parti sur l'idée d'un empilement avec DSS en mode "comète" et "étoiles", mais le résultat est simplement catastrophique !

Même en réglant les paramètres au mieux dans tous les sens, impossible d'obtenir une image stackée convenable.

 

Donc je suis repassé sur Pix, et là rien à voir...

 

Bref, j'ai redonné une chance à DSS que je n'utilise plus depuis longtemps, mais du coup je crois que c'est définitivement fini ! :)

 

jb

  • Merci / Quelle qualité! 1
Posté

C'est vraiment une belle photo de cette comete!

Bravo JB, c'est parfaitement bien traité, quel boulot !

Un petite camera couleur pour ce genre d'objet qui se deplace vite doit bien arrangé le coup.

En tout cas ,c'est superbe!

Posté

Superbe!

+1 pour le tuto, en particulier de la fusion des images dans Photoshop.

 

Yoann

Posté

Magnifique image !

 

Merci pour nos yeux.

 

(je l'ai observée verdâtre, et dessinée dans ce même ton. Ravi que ton image confirme).

Posté

C est une tuerie cette photo, c est de loin la meilleure que j ai vu jusqu'à maintenant sur le net. 

Vraiment un grand bravo JB ! 

J attend avec impatience le tuto. 

Je vais essayer de la shooter aussi,... Si j y arrive entre 2 biberons. 

 

Une encore une fois elle est splendide ! 

 

Idir

 

Posté

Bien joué JB.

En effet en LRVB ça doit pas être simple le double assemblage comte fdc, surtout vu la vitesse.

Mais ça n'a pas l'air de te poser de pbm vu la qualité de ton traitement.

Bravo.

 

Si la météo le permet, je m'y colle aussi en grand champ, elle est dans le cocher en ce moment, ça peut être sympa ;-)

Posté

Merci à tous ! :) 

 

En bonus, je vous propose une petite vidéo faite à partir de ces images.

Evidemment, c'est pas hyper quali comme time lapse, car pour que ça soit fluide j'ai du utiliser toutes les images, donc les L et RGB... le signal et le bruit ne sont pas les mêmes... donc pas d'homogénéité au niveau qualité, mais c'est surtout pour voir le déplacement de la comète en 2h30...

 

Par contre faut la regarder en HD sinon c'est vraiment pas beau... ;)  Et les nuages c'est cadeau, j'ai préféré laisser toutes les données acquises.

 

 

Le ‎05‎/‎09‎/‎2018 à 17:29, exaxe a dit :

Un petite camera couleur pour ce genre d'objet qui se deplace vite doit bien arrangé le coup.

 

Totalement ! Ca doit simplifier 90% des problèmes !

Ca serait quel type de caméra, couleur mais assez sensible ?

 

Le ‎05‎/‎09‎/‎2018 à 23:14, Will a dit :

(je l'ai observée verdâtre, et dessinée dans ce même ton. Ravi que ton image confirme).

 

Merci à toi car ça me conforte aussi dans ma calibration des couleurs.

Je vais quand même revérifier ce we, car j'ai un doute...

 

Le ‎06‎/‎09‎/‎2018 à 11:48, Idir a dit :

C est une tuerie cette photo, c est de loin la meilleure que j ai vu jusqu'à maintenant sur le net. 

Vraiment un grand bravo JB ! 

J attend avec impatience le tuto. 

 

Merci Idir ! :) 

Je me suis un peu emballé à évoquer ce tuto, je me demande bien où je vais trouver le temps, mais bon... ;) 

 

Le ‎06‎/‎09‎/‎2018 à 21:53, Dav78 a dit :

En effet en LRVB ça doit pas être simple le double assemblage comte fdc, surtout vu la vitesse.

Mais ça n'a pas l'air de te poser de pbm vu la qualité de ton traitement.

 

Ho que si ça m'a posé problème ! L'image finale est propre donc ça s'oublie... ;) 

 

Le ‎07‎/‎09‎/‎2018 à 10:46, Pulsar59 a dit :

Bravo, traitement top, bien joué surtout pour l'effacement des trainées d'étoiles dans la queue !

 

Merci ; en fait je n'ai pas traité la queue de manière spécifique, j'ai traité à part la comète dans son ensemble.

Je n'ai pas été confronté au souci d'un résidu de trainée dans la queue ; donc pas de mérite ! :) 

 

PS : je partage ici aussi l'explication technique un peu plus détaillée postée en face pour ceux que ça intéresse :

 

Citation

Je dois avouer que je n'avais jamais fait de photos d'une comète avec une caméra monochrome auparavant, donc je n'avais pas de référentiel en tête au moment de la prise de vue. J'ai surtout essayé de varier les poses en me disant que ça me donnait plus de matière au final et que je limitais donc les risques de ne rien pouvoir faire au traitement... Je n'ai pas trouvé non plus de tutos réellement satisfaisant en la matière, donc j'ai réfléchi dans mon coin et trouvé cette méthode de faire.

 

 

Je m'empresse de préciser que la méthode en question n'a rien d'innovant ou de spécial, puisqu'elle repose sur les mêmes principes que les autres méthodes qu'on peut déjà trouver sur le net. C'est juste que les tutos en question éludent certains problèmes qui se posent en pratique, soit n'envisagent pas tout. Et je ne parle même pas de certains "tutos" (anglo-saxons) dont je vais taire le nom de leurs auteurs, qui à mon sens sont purement et simplement mensongers, voire faux. Certains n'hésitent pas à prétendre avoir réussi ce type d'image sans aucun recours à des outils de photoshop ou leurs (rares) équivalents dans les fonctions moins "scientifiques" de Pixinsight (comme le process CloneStamp que j'ai découvert à cette occasion). A mon sens, cela n'est juste pas possible ; et il faut renoncer à une rigueur de traitement de bout en bout qu'on peut avoir sur les autres types d'images. Dans ce cas, c'est une "composition", qui se veut la plus fidèle possible, mais il faut avoir recours à des artifices sous Photoshop. Chercher à s'en cacher serait ridicule...

Quelques détails techniques additionnels (pas exhaustif mais l'essentiel y est).

 

Suivi sur la comète uniquement dans mon cas (car je voulais dès le départ avoir une image finale mixée avec les étoiles ponctuelles et pas des trainées). Il faut donc adapter le temps de pose en conséquence pour ne pas que la comète soit trop étirée. Il faut aussi (ce que je n'ai pas fait car je n'avais pas conscience que ça serait un problème : respecter un certain délai entre 2 images d'un même filtre, afin qu'une même étoile n'ait pas de pixels communs entre deux images. Ca permet d'optimiser la suppression des étoiles sur l'image de la comète lors de l'intégration grâce au sigma clipping). Comme le guidage est réalisé sur les étoiles, il faut apprécier ce décalage sur la comète... pas simple ! Une méthode qui doit bien marcher est de faire des séries de poses type : L-R-G-B ; L-R-G-B ; etc, plutôt que des séries type LLL - RRR- GGG - BBB.

 Pour l'essentiel sur le traitement lui-même : l'idée de base est de générer 2 images distinctes :
- une alignée sur les étoiles (star alignement) ;
- une alignée sur la comète (comet alignement), avec une soustraction de l'image alignée sur les étoiles pour chaque pose unitaire avant le stack. .

Il faut jouer au maximum avec les différentes fonctionnalités de Pix lors de l'empilement pour faire disparaitre les trainées d'étoiles sur la comète, et la comète sur les trainées d'étoiles (sigma clipping, exclusion des zones high larges, etc.).

Ensuite, il faut supprimer de l'image de la comète les trainées résiduelles. Pas simple mais on peut utiliser l'image de rejection "high" de l'empilement justement !

Ensuite jouer avec les niveaux sur la comète afin de limiter au max les résidus de trainées. Et finir par un petit coup de "tampon" sur les petits restes d'artefacts qui trainent (très limités en l'occurrence à quelques grosses étoiles).

Il faut bien sûr faire ce travail pour chaque couche L, RG et B.

Ensuite on assemble les couches RGB + mix avec la couche L pour créer le champ d'étoiles.

Idem pour la comète avec ici un mix LRGB (avec la couche L constituée d'un mix des poses de différentes durées pour essayer d'avoir toute la queue mais conserver des détails dans le noyau de la comète... pas simple et en l'occurrence c'est raté sur cette image ; le HDR n'est en revanche d'aucun secours ici, compte-tenu des différentes modifications apportées sur chaque image).

On aligne à peu près l'histogramme des deux images avec la fonction linear fit (sur la couche L).

Pour finir, on mix les deux couches sur PS ; perso j'ai utilisé le mode "éclaircir" pour l'image de la comète.

Il faut bien sur avoir au préalable vérifié les niveaux et laissé le fdc un tout petit peu plus "noir" que l'image de la comète. Cela se corrige de toute manière ensuite sur l'image finalisée avec des calques de fusion si besoin.

Ca peut sembler complexe comme ça, mais ce qui m'a pris du temps c'est surtout de trouver la méthode, les bons outils (on oublie la fonctionnalité de double alignement simultané de DSS...) et résoudre les problèmes en cours de route. Une fois bien maîtrisé, c'est allé très rapidement.

Mais faudrait que je fasse des captures d'écran pour que ça soit plus compréhensible...

 

 

JB

  • Merci / Quelle qualité! 1
Posté

Intéressante vidéo!

Pour la caméra couleur. Tu as l'horizon de chez Atik, les photosites sont un poil plus petits mais cela reste cohérent avec ton setup. Et en plus tu peux faire des photos hybrides entre tradition et courte.

Posté

Merci aux derniers visiteurs ! :) 

 

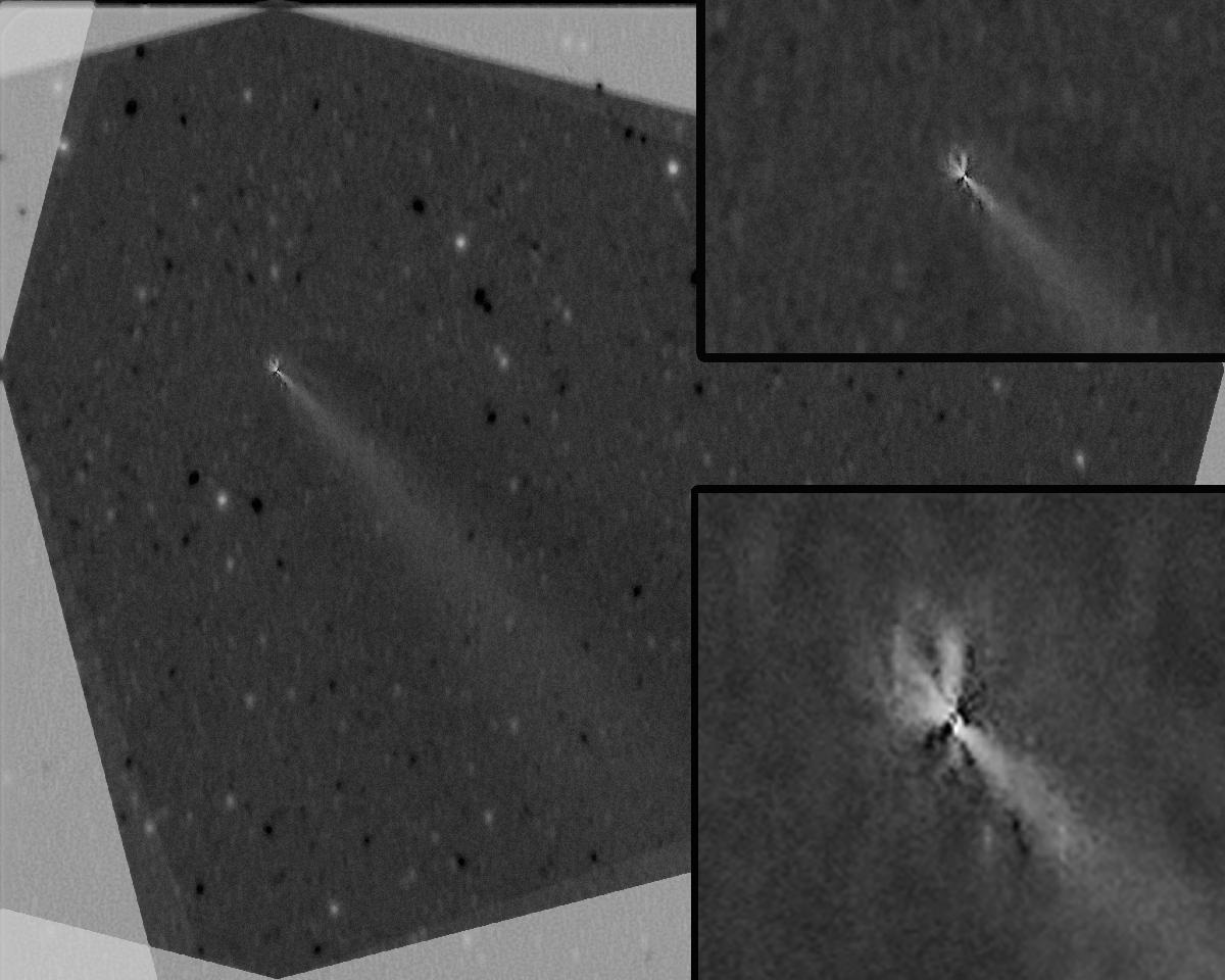
J'ai tenté de tirer encore un peu, cette fois pour faire ressortir le noyau de la comète, selon la méthode de gradient rotationnel de Christian Buil

 

Voici ce que j'obtiens : en incrustation un crop et zoom sur le noyau : 

 

114601-1536447814.jpg

 

Il me semble qu'on distingue clairement au moins 3 jets dans des directions clairement marquées, en plus de la trainée. 

 

114601-1536498765.jpg

 

Je ne pense pas qu'il s'agisse d'artefacts, mais si des spécialistes ici présents peuvent me donner leur avis, j'en serais ravi ! :) 

 

La synthèse finale de tout ça : 

 

114601-1536498832.jpg

 

Les fulls ici : 

get.jpg?insecure

 

jb

Posté
Le ‎06‎/‎09‎/‎2018 à 11:48, Idir a dit :

C est une tuerie cette photo, c est de loin la meilleure que j ai vu jusqu'à maintenant sur le net. 

 

Depuis la comète a gagné en majesté en se rapprochant !

Pour moi la meilleure photo jusqu'à présent c'est celle-ci... mais ça peut changer tous les jours ! :) 

 

jb

Posté
il y a 24 minutes, exaxe a dit :

De nouveau bravo! Post de plus en plus complet !  Elle est de magnitude ?

 

Merci Stéphane ! :) 

 

Aucune idée pour la magnitude actuelle car ma propre observation commence à remonter... et elle semble avoir gagné en luminosité plus que prévu.

Vue les dernières photos, j'aurais tendance à dire qu'elle se rapproche de 7 (pour le noyau bien sur), donc potentiellement observable à l'œil nu sous un bon ciel.

 

jb

Rejoignez la conversation !

Vous pouvez répondre maintenant et vous inscrire plus tard. Si vous avez un compte, connectez-vous pour poster avec votre compte.

Invité
Répondre à ce sujet…

×   Collé en tant que texte enrichi.   Coller en tant que texte brut à la place

  Seulement 75 émoticônes maximum sont autorisées.

×   Votre lien a été automatiquement intégré.   Afficher plutôt comme un lien

×   Votre contenu précédent a été rétabli.   Vider l’éditeur

×   Vous ne pouvez pas directement coller des images. Envoyez-les depuis votre ordinateur ou insérez-les depuis une URL.

  • En ligne récemment   0 membre est en ligne

    • Aucun utilisateur enregistré regarde cette page.
×
×
  • Créer...

Information importante

Nous avons placé des cookies sur votre appareil pour aider à améliorer ce site. Vous pouvez choisir d’ajuster vos paramètres de cookie, sinon nous supposerons que vous êtes d’accord pour continuer.